Physiologic Instruments Software UI/UX Design (Programmming and Graphics)
Spent the last four years working for Physiologic Instruments, I redesigned the software for their custom medical research equipment.
Asked to redesign the UI and graphics for software Acquire and Analyze 3.0. Began with scattered and incoherent graph canvases, a jarring color scheme and unfinished buttons; transformed into a program set to reflect the company color scheme, a setup wizard for step case instruction, polished graphics, and a more condensed and concise user interface.
Button logo redesign, made using Adobe Photoshop and Illustrator.
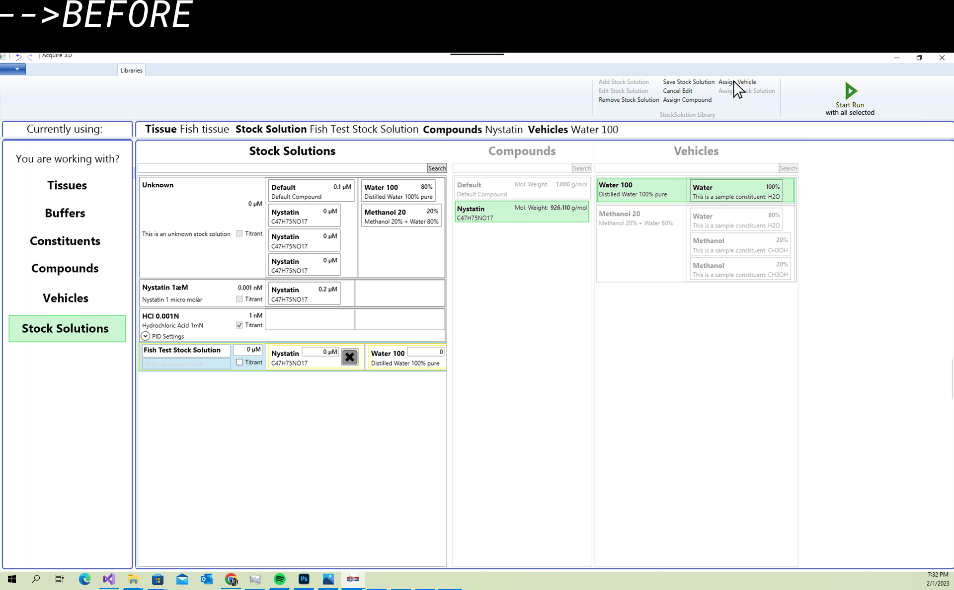
BEFORE:







AFTER:









Library redesign in order to find solutions and their elements.
Originally presented with a bulky default style.
Example of an alternative program style sheet used for font and color scheme reference. This iteration with featured high contrast and a more modern font style.
Mockup of the software's setup wizard using the referenced style sheet for font and color scheme. Chose not to continue with this iteration for the software, went with alternate stylesheet below for the final version.
Stylesheet used for final iteration of the software. Simplified the fonts used and went with colors to match the company's brand identity as well as hardware.
Setup wizard redesign from original mockup to final.
Designed front panel for system hardware, the following was made in Adobe Illustrator as vectors for printing. Illustrates mockup and the printed panel.